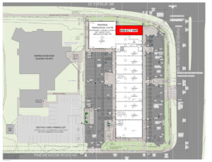
For Sale, Business Assets & Sublease – Unit 101 – 6915 Rundlehorn Dr NE